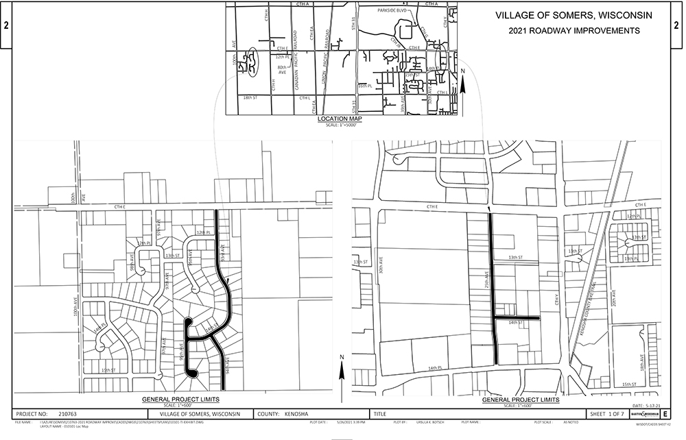
In June, the Village accepted bids for two road improvement projects:
- 25th Avenue between 14th Place and 12th Street and the 2300 and 2400 blocks of 14th Street
- 93rd, 94th and 95th Avenues as well as 14th Street in the Country Charms subdivision
Payne & Dolan was the lowest bidder at $517,893 for both projects. They have worked with the Village in the past. The memo presented to the Village board is available here.
Payne & Dolan has informed the Village that they will begin pulverizing the streets Aug. 30.
Residents may see subcontractors preparing the streets before that date. These include Musson Brothers (cross-culverts and manholes) and Nielsen Madsen Barber (survey crew). Baxter & Woodman (Village Engineer) and the Village of Somers Public Works will also be working with the contractor.
Weather permitting, paving should commence in mid-September.
During this project, access for residents will be maintained and garbage/recycling service should not be interrupted.
If you have questions or concerns, during this project, please call the Village at 262-859 2822.
Letters informing residents were provided. A copy can be found here for the 25th Avenue project and here for the Country Charms project.
